HÍREK
A Rovatból

Kiakadtak a britek: Boris Johnson egy luxusvillában nyaral és festeget, miközben egy jelentés megállapította, hogy félrekezelte a járványt

Már maga a jelentésben szereplő megállapítások is felháborodást okoztak az országban, ezt csak tetőzte az, hogy a kormányfő reakció helyett Spanyolországban pihen.


Mélyen felkavarták Nagy-Britanniában a koronavírus áldozatainak hozzátartozóit azok a fotók, amelyeken az látható, hogy a brit miniszterelnök képet fest a nyaralásán - írja a CNN.

Boris Johnson a hírek szerint a spanyolországi Marbella városában nyaral családjával egy luxusvillában. A minap pedig olyan fotók jelentek meg, amelyeken a kormányfő a teraszon fest egy festővászonra. Persze a brit sajtó sem hagyta ezt szó nélkül, a Mirror bulvárlap például címlapra tette a fotót ezzel a szöveggel:

"Az ország válságban van, az emberek halálát okozó, elbaltázott járványkezelését pedig a gyászoló családok és a parlamenti képviselők is elítélik. Hol van most a miniszterelnök? A festőszettjével játszik a milliárdos haverja villájában. Jól szórakozol, Boris?"

Már mémek és karikatúrák is megjelentek arról, hogy Johnson sokak szerint otthagyta a válságban lévő országot és elvonult pihenni, mintha semmi gond nem lenne.

A britek felháborodását az váltotta ki, hogy a miniszterelnök semmit nem reagált arra, hogy egy friss jelentés szerint a koronavírus-járvány korai szakaszának kezelése az Egyesült Királyság történetének egyik legsúlyosabb közegészségügyi kudarca volt.

Ezt a képviselőház tudományos és technológiai bizottsága, valamint az egészségügyi bizottság állapította meg, a vizsgálat során pedig arra jutottak, hogy a Johnson-kormány elhibázott döntései emberéletek ezrébe kerülhetett.

A koronavírus áldozatainak gyászoló családjai által létrehozott csoport (Covid-19 Bereaved Families for Justice) mélységesen felháborodott azon, hogy miközben ez a jelentés nyilvánosságra került, ők pedig ennek hatására arra gondolnak, hogy még velük lehetnének a szeretteik, ha a kormány más döntéseket hoz az első hullám idején, a kormányfő egy tengerparton pihen.

"Nagyon felkavaró nekünk, akik elveszítettük a szeretteinket, azt látni, hogy a miniszterelnök egy luxusvillában festeget, ahelyett, hogy reagálna a jelentés lesújtó megállapításaira"

- közölték, és hozzátették, ahhoz, hogy Johnson részvétnyilvánításának legyen értelme, el kellene rendelnie egy vizsgálatot.

A kormányfő helyett Oliver Dowden, a Konzervatív Párt társelnöke kért elnézést azoktól a családoktól, akik elveszítették hozzátartozóikat.

"Nyilvánvalóan sajnálom, ahogy a miniszterelnök is sajnálja ezt"

- mondta a Sky Newsnak.

Elismerte, hogy a kormány ma már másképp tenne bizonyos dolgokat, de hozzátette, hogy ez egy példátlan válság volt, és nem állt rendelkezésükre egy tökéletes szabálykönyv, amelyet követhettek volna. Ugyanakkor fontosnak tartja a jelentést, és azt ígérte, hogy a kormány kielemzi és reagálni fog a megállapításokra.


Link másolása
KÖVESS MINKET:

Népszerű
Ajánljuk
Címlapról ajánljuk


HÍREK
A Rovatból
Már több mint 100 település korlátozza a beköltözést: ilyen szabályokat vezettek be
Nem az agglomerációban születnek tömegével a rendeletek, hanem az elnéptelenedő térségekben. Új pénzügyi terhek és szűrők jelentek meg, és ezek egy része alapjogi kockázatokat rejthet a szakemberek szerint.


Alig négy hónap alatt több mint száz település hozott helyi rendeletet a júliusban életbe lépett törvény alapján. A helyi önazonosság védelméről szóló jogszabály célja hivatalosan a túlnépesedés megelőzése volt, de egy szakember szerint a rendeletekbe foglalt feltételek éppen ellentétes hatást váltanak ki.

A törvény lehetőséget ad az önkormányzatoknak, hogy megszabják, kik és milyen feltételekkel költözhetnek a településükre, illetve kik vásárolhatnak ott ingatlant. Az eddig elfogadott rendeletek szinte mind pénzügyi kötelezettségeket, bizonyos végzettséget, meglévő munkaviszonyt és büntetlen előéletet követelnek.

Navracsics Tibor miniszter korábban elismerte, hogy a rendeletek nem feltétlenül azokon a településeken születnek, ahol a kormány agglomerációs nyomásra számított, de a kormányhivatalok jelzik, ha az alapjogok megsértésével találkoznak.

Dr. Szabó Judit Anna ingatlanjogász a Blikknek azt mondta, a legtöbb rendeletből hiányzik, hogy pontosan mit akarnak megőrizni. Egyetlen helyi szabályozás sem fogalmazta meg például, hogy milyen hagyományt, értéket vagy életformát védenének meg a beköltözőktől. Saját példáján keresztül érzékeltette is a problémát: az ő dédszülei véméndiek voltak, ahol régen több nemzetiség élt együtt békésen. Erre most a falu egyik célja a homogenitás fenntartása, ami szerinte érthetetlen.

Azt mondta, eddig több mint száz ilyen döntés született, de volt, ahol már vissza is vonták – például Mezőkeresztesen.

A jogász azt látja, hogy az önazonosság védelméről szóló rendeletek meglepő gyorsasággal terjednek. Arra persze számított, hogy lesz igény a törvényre, de arra nem, hogy szinte minden nap újabb rendelet jelenik meg. Azt mondta, a törvény létjogosultságát elvileg az adta, hogy segítsen olyan településeknek, ahol az infrastruktúra nem bírja a betelepülők számát, ahogy erre jó néhány példa akad a fővárosi agglomerációban és a Balaton környékén.

Mégis, ezek helyett főként más térségekben hoztak új szabályokat.

Dr. Szabó Judit Anna úgy látja, már az elfogadás előtt látszott, hogy ez a törvény a túlnépesedés megfékezésére nem lesz alkalmas, mivel aki állami támogatással vásárol ingatlant, az mentesül is a korlátozások alól.

Döbbenetes továbbá, hogy főleg olyan elnéptelenedő települések alkalmazzák, ahol olcsók az ingatlanok, de a helyiek nem szeretnék, hogy „bárki beköltözhessen”.

A jogász problémásnak tartja azt is, hogy a települések szabadon határozhatják meg a feltételeket, így akadnak olyanok, ahol csak bizonyos bűncselekményekre szűkítik a tiltást. Ez azt a téves üzenetet hordozza, hogy más bűncselekmények az önkormányzatok részéről elfogadhatók.

Úgy véli, a bűncselekmények megelőzése és büntetése az állam feladata, nem az önkormányzatoké.

A jogrend szerint, ha valaki letöltötte büntetését, esélyt kell kapnia a visszailleszkedésre, különben a bűnözés újratermelődik. Jó példa erre az, ha valaki balesetet okoz: bár büntetett előéletű lesz, de az esete semmiképp sem hasonlítható össze súlyos bűntettek elkövetőivel. Mint mondta, a választások közeledtével sokan úgy érezhetik, kontrollt kaptak a kezükbe a népesség összetételének szinte szabad meghatározására, de az államnak nem lenne szabad kiszolgálnia ezt az igényt. Sátoraljaújhely (képünkön) önkormányzata le is nyilatkozta egy médiumnak, hogy azért alkották a helyi rendeletet, hogy ne költözzenek oda a bűnözők - emlékeztetett.

A megkülönböztetés akár alaptörvénybe is ütközhet, de mivel ez a szabályozás újszerű, még nincsenek bírósági döntések vagy joggyakorlat.

A szakember szerint jogszerűtlen, hogy néhány településen – például Rajkán, Balatonföldváron és Győrújbaráton – betelepülési hozzájáruláshoz kötik az ingatlanvásárlást, mert a törvény erre nem ad lehetőséget. Úgy fogalmazott, nem lenne rossz ötlet, ha a hozzájárulást például az óvodai férőhelyek bővítésére szednék, de aki állami támogatással vásárol, annak ezt sem kellene fizetnie.

A legtöbb rendelet egyébként Borsodban és Nógrádban született.


Link másolása
KÖVESS MINKET:

HÍREK
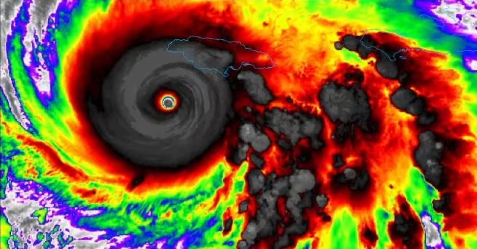
A világ idei legerősebb vihara tart Jamaica felé, akár 282 km/órás szél is tombolhat a szigetországban
Rövid idő alatt akár 100 centiméter eső is leszakadhat, ami villámárvizeket és földcsuszamlásokat okozhat. A szigetország fővárosát jórészt evakuálják, óvóhelyek százait nyitották meg.
Szerző: GJ - szmo.hu
2025. október 28.



Három ember már meghalt Jamaicán, miközben az ország a világ idén tapasztalt legerősebb viharára készül. Az amerikai meteorológusok szerint a Melissa hurrikán „katasztrofális és életveszélyes” körülményeket okoz.

A tudósítások szerint a vihar óránként akár 282 km/h-s széllel tombolhat, ezzel az ötös, azaz a legmagasabb kategóriába tartozik.

A BBC-nek nyilatkozó szakértők szerint a Melissa lassan halad, ezért egyes területeken hosszan tartó esőzések, áradások és földcsuszamlások alakulhatnak ki.

A Nemzeti Hurrikán Központ (NHC) közölte: 2025-ben ilyen erejű vihart még nem élt át a világ, sőt, a CBS kutatása arra jutott, hogy ekkora hurrikán az 1851 óta vezetett mérések kezdete óta nem érte el Jamaicát.

A szigetországban már most is trópusi vihar tombol, és a hatóságok arra számítanak, hogy kedd reggeltől hurrikánerejű szelek érkeznek. A helyi egészségügyi minisztérium hétfő este már három viharral összefüggő halálesetről számolt be, és félő, hogy az egyre súlyosabb körülmények további áldozatokat szednek.

Az NHC közölte, hogy a Melissa a főváros, Kingston délnyugati részétől 240 kilométerre tombol, és észak-északkelet felé mozog, 280 km/h-s szelek kíséretében. A hatóságok arra figyelmeztették a magasabban fekvő területeken élőket, hogy náluk a szél akár 30 százalékkal is erősebb lehet.

Michael Brennan, az NHC igazgatója azt kérte a helyiektől, hogy „ne menjenek ki a szabadba, mivel kedden életveszélyes villámárvizek és számos földcsuszamlás várható.” Azt is kérte, hogy senki ne tartózkodjon a szabad ég alatt, amíg a vihar szeme át nem halad a térségen.

Az előrejelzés szerint a következő négy napban akár 100 centiméter eső is hullhat Jamaicán. Jamie Rhome, az NHC helyettes igazgatója szerint „ez a rendkívüli mennyiségű csapadék katasztrofális eseményt okozhat”.

A térfigyelő kamerák élő közvetítésén nyomon lehet követni, ahogy fokozatosan egyre súlyosabb a vihar:

A kormány elrendelte Kingston egyes részeinek kiürítését. Dana Morris Dixon oktatási miniszter a BBC-nek azt mondta, hogy olyan viharra számítanak, „amilyet még soha nem láttunk”. Hozzátette: egész októberben esett, ezért a talaj teljesen felázott, ami most „kiterjedt áradásokat és földcsuszamlásokat” okozhat.

A miniszter hozzátette: „881 menedékhelyünk van, mindet megnyitottuk, és mind ingyenes.”

Az egyik szemtanú, Evadney Campbell, aki Londonból érkezett Jamaicára, elmondta, hogy a ház, ahol tartózkodik, hurrikánbiztos: téglából és acélból épült, illetve betonnal van kitöltve. Innen figyeli a szomszédokat, hogy jól vannak-e, és nagyon aggódik azokért, akik az alacsonyabban fekvő délkeleti területeken élnek, mert a fosztogatásoktól tartva sokan nem akarják elhagyni az otthonukat.

Damian Anderson, egy 47 éves tanár a délkeleti Hagley Gap településről azt nyilatkozta, hogy az utak járhatatlanok, és el vannak vágva a külvilágtól. „Nem tudunk mozdulni. Félünk” – mondta.

Andrew Holness miniszterelnök elrendelte a veszélyeztetett közösségek azonnali evakuálását. Az X-en azt írta, hogy mindenki készüljön fel, maradjon otthon, és tartsa be az utasításokat. „Átvészeljük ezt a vihart, és erősebben építjük újjá az országot” – fogalmazott.

A kormányfő a CNN-nel közölte: nem hiszi, hogy a térségben bármilyen infrastruktúra kibírna egy ötös kategóriájú vihart, így „jelentős károk várhatók”.

Nem ez az egyetlen térség, ahol talán sosem látott ítéletidő tombol a napokban. Kedden éjjel Kubában hurrikán, Haitin pedig trópusi vihar várható. A Bahamákra szerdán csap le a vihar, illetve a Turks- és Caicos-szigeteken is trópusi viharjelenségek lesznek.

Haitin legalább három emberrel végzett és több száz házat elöntött a villámárvíz. A Dominikai Köztársaságban is meghalt egy 79 éves férfi, akit az ár ragadott magával. Ugyanitt egy 13 éves fiút eltűntnek nyilvánítottak, miután a tengeren elsodorta az erős áramlat. Több embert az autójából kellett kimenteni, miután a víz körbezárta őket.


Link másolása
KÖVESS MINKET:


HÍREK
A Rovatból
Elkészült a Lex Ruszin-Szendi: így szigorítanák a fegyvertartást
A Kósa Lajos által beterjesztett határozatot egy hónap után fogadta el a Ház, a módosítás szövege október 27-re készült el. Az engedély nem adható ki és nem hosszabbítható folyamatban lévő fegyveres szabálysértésnél, hamis adatnál vagy súlyos kötelezettségszegésnél.


Szeptember végén Kósa Lajos fideszes képviselő határozati javaslatot vitt a Parlament elé a „politikai erőszak terjedése elleni fellépés” indokával. A szövegben arra kérte a kormányt, hogy „dolgozzon ki a fizikai és digitális térben terjedő agresszió mérséklését elősegítő javaslatokat”, és szigorítsa a fegyvertartás szabályait.

Egy hónappal később az Országgyűlés a Kósa vezette honvédelmi és rendészeti bizottság javaslatára elfogadta a határozatot. Alig egy hétre rá, október 27-re elkészült a törvénymódosítás is, írja a Telex.

A tervezet szerint

fegyvertartási engedélyt nem adnak ki és nem hosszabbítanak meg, ha a kérelmező ellen fegyvertartással összefüggő szabálysértési eljárás folyik. Ez Ruszin-Szendi Romulusz esetében is végleges engedélyvesztést jelentene.

A Fidesz nem titkolta: a csomagot „Lex Ruszin-Szendi” néven is emlegetik, politikai céllal született. Miután nyilvánosságra került, hogy Ruszin-Szendi lőfegyvert vitt a Tisza Párt május 8-i, szeghalmi rendezvényére, több kormánypárti politikus elítélte ezt, a rendőrség lefoglalta a fegyverét, Szalay-Bobrovniczky Kristóf honvédelmi miniszter pedig felbontotta a tartalékosi szerződését és megvonta a rendfokozatát.

Az új szabályok szerint az engedély akkor sem adható ki vagy hosszabbítható meg, ha a kérelemben valótlan adat szerepel, valós adatot hallgatnak el, vagy ha az érintett a fegyverre, a lőszerre (töltényre) vagy a lőtérre vonatkozó kötelezettségeit súlyosan megszegi.


Link másolása
KÖVESS MINKET:


HÍREK
A Rovatból
Orbán Balázs: A La Repubblica olyasmit adott Orbán Viktor szájába, amit soha nem mondott
A politikai igazgató azt írta, a kormányfő a washingtoni egyeztetésre és a magyar energiafüggés kockázataira utalt. Elmondása szerint az olasz újságíró az utcán kérdezte meg a szankciókról.
Maier Vilmos - szmo.hu
2025. október 28.



Orbán Balázs a Facebookon azt írta:

„A La Repubblica nevű olasz balliberális napilap, majd nyomában a teljes magyar „független-objektív” sajtó olyasmit adott Orbán Viktor szájába, amit a magyar miniszterelnök soha nem mondott”.

Szerinte a kormányfő nem nevezte hibának Trump döntését a szankciókról. Úgy véli, „az eset iskolapéldája annak, hogyan próbálja a fake news média megosztani azokat, akik a háborús logika helyett a párbeszédet és a békét képviselik.”

Orbán Balázs elmondása szerint az olasz újságíró Giorgia Melonival való találkozó előtt az utcán kérdezte meg Orbán Viktort az orosz olajra vonatkozó új amerikai szankciókról: „Úgy gondolja, hogy az Egyesült Államok új orosz olajra vonatkozó szankciói hibát jelentenek Trump részéről? Beszélt erről vele?”

A politikai igazgató szerint a miniszterelnök jelezte, hamarosan Washingtonba utazik, ahol többek között a szankciók kérdését is megvitatja az amerikai elnökkel. A közlés szerint a válasz így hangzott:

„Különösen az érdekel, hogyan tudnánk a magyar gazdaság számára egy működőképes rendszert kialakítani, mivel Magyarország nagymértékben függ az orosz olajtól és gáztól. Nélkülük az árak az egekbe szöknének, és súlyos ellátási hiány alakulhatna ki.”

Bejegyzése alapján a La Repubblica ezt félreértelmezte, „és azt a hamis látszatot keltette, mintha a miniszterelnök Trump döntését hibának nevezte volna, sőt, arról beszélt volna, hogy megpróbálja visszavonatni a szankciókat.” Hangsúlyozta, ilyen kijelentés nem hangzott el.

A poszt végén ezt írta: „Ez nem újságírás, hanem tudatos politikai manipuláció: a cél, hogy a békepárti vezetőket egymás ellen fordítsák, és ezzel gyengítsék a háborúval szembeni józan, felelős álláspontot. Orbán Viktor Washingtonban is a háború mielőbbi lezárását szolgáló erőfeszítéseket fogja képviselni. Várjuk a tárgyalásokat Donald Trumppal, és támogatjuk az Egyesült Államokkal minden olyan kezdeményezésben, amely a béke megteremtését szolgálja.”

(via 24.hu)


Link másolása
KÖVESS MINKET: